关于树人中学项目的规划公示
搜狐焦点网邯郸站 2021-05-07 15:30:33
用手机看
扫描到手机,新闻随时看
扫一扫,用手机看文章
更加方便分享给朋友
关于树人中学项目的规划公示
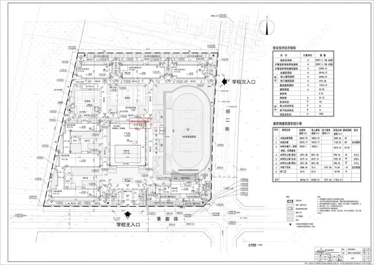
为便于群众参与城市规划管理,保证城市规划顺利实施,我局对该项目规划设计方案总平面图进行批前公示,公示期间如您对该项目方案有不同意见,请及时向邯郸市自然资源和规划局反馈。
联系单位:邯郸市自然资源和规划局建筑工程规划、行政许可服务处
建设单位名称:河北西坡文化传媒有限公司
建设项目名称:邯郸市树人中学(河北师范大学邯郸实验学校)
建 筑 性 质:中学
建 设 位 置:邯郸市复兴区经济开发区景廊路以北经二街以西
建 筑 面 积:58746.37 m2
建 筑 高 度:详见总平面图
公 示 时 间:2021年4月15日至2021年4月25日
附:建设工程设计方案总平面图
2021年4月15日
来源:邯郸市自然资源和规划局
声明:本文由入驻焦点开放平台的作者撰写,除焦点官方账号外,观点仅代表作者本人,不代表焦点立场。


